Объявления Канска Недвижимость Коммерческая недвижимость Купля-продажа коммерческой недвижимости Помещения свободного назначения
Продано
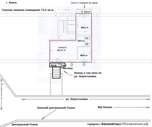
В центре Канска, продается торгово-офисное помещение 73,5 кв/м цена 4,9 млн
Кадастр 24:51:0203135:1109
В центре Канска, ул Горького/48 (рядом ц. рынок) продается торгово-офисное помещение свободного назначения, 1 #линия. 1 эт/5-эт кирпичного дома, год постройки 2000 год. В доме находится оптика "Лилия". Вход-крыльцо и окна выходят на торговую улицу и Казначейство, перед ц .рынком города. Площадь 73,5 кв/м. Комнаты 31/16/10 раздельные. Установлена пожарная сигнализация, новая сантехника, сделан ремонт Стоимость 4,9 млн. руб. Все расходы по оформлению покупки и налог с продажи объекта за счет покупателя.
тел: 89339974963
#оптика #рынок #Центр #Канск #торговое #недвижимость #нежилое #подмагазин #магазин #бизнес #офис #безпосредников #продам #помещение #коммерческое #Готовыйбизнес
В центре Канска, ул Горького/48 (рядом ц. рынок) продается торгово-офисное помещение свободного назначения, 1 #линия. 1 эт/5-эт кирпичного дома, год постройки 2000 год. В доме находится оптика "Лилия". Вход-крыльцо и окна выходят на торговую улицу и Казначейство, перед ц .рынком города. Площадь 73,5 кв/м. Комнаты 31/16/10 раздельные. Установлена пожарная сигнализация, новая сантехника, сделан ремонт Стоимость 4,9 млн. руб. Все расходы по оформлению покупки и налог с продажи объекта за счет покупателя.
тел: 89339974963
#оптика #рынок #Центр #Канск #торговое #недвижимость #нежилое #подмагазин #магазин #бизнес #офис #безпосредников #продам #помещение #коммерческое #Готовыйбизнес
| Цена: |
4 900 000 руб
|
| Город: |
Канск
|
| Тип: | Продаю |
| Автор: |
|
Регистрация с 17.02.2015
|
|
| Сайт: | arenda-sobstvennik.ru |
| Дата: | 02.12.2023 16:52 |
| Номер: | 1587239 |
Сделать объявление:
Ссылка на это объявление:
Местоположение
| Адрес: | Красноярский край, Канск, улица Горького, 48 |
| GPS: | 56.2017235, 95.7029032 |
Похожие объявления

Продам, центр, проходное место! Местоположение: Помещение находится в городе Канске, ул. Краснопартизанская д.71. Ориентир Сбербанк. Характе...